Nous suivre
Nos avis clients
Nos avis clients
0
Réf : TERRAIN-8e
Vendu

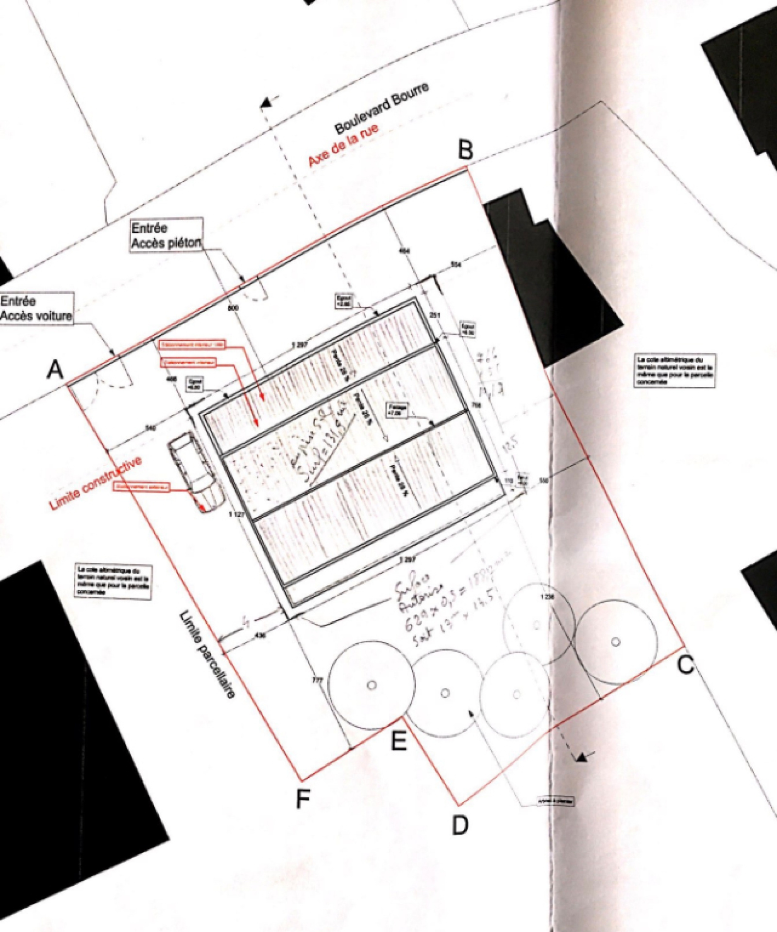
VENDU Exclusivité. Rare. Atelier sur terrain constructible pour une maison. Pointe Rouge

Marseille (13008)
790 000 €

A propos de ce bien

VENDU Dans le quartier le plus recherché de la Pointe Rouge, un terrain à la vente. Constructible, 629 m2, exposition sud est. Un grand garage atelier à démolir se trouve sur le terrain, permis de construire déposé, valable et purgé pour une construction de 170 m2. Contacter Caroline Contoz 06 80 62 53 21, agent commercial indépendant RSAC N° 803 734 953

Descriptif du bien

TRAD_PAMPERO_Caracteristique Valeurs
Code postal 13008
Surface habitable (m²) 170 m²
surface terrain 629 m²
TRAD_PAMPERO_Caracteristique Valeurs
Mode de chauffage Autre
Type de chauffage Autre
Format de chauffage AUTRE
Exposition Sud-Est
TRAD_PAMPERO_Caracteristique Valeurs
Prix de vente 790 000 €
Les honoraires d'agence seront intégralement à la charge du vendeur  
Taxe foncière annuelle 1 134 €
  • Commerces et santé
  • Loisirs
  • Ecoles
  • Transports
  • Pratique